CATANIA, 64 KG DI COCAINA NASCOSTI IN UN TIR: ARRESTATO CORRIERE DELLA DROGA DALLA GUARDIA DI FINANZA. LO STUPEFACENTE AVREBBE FRUTTATO 13 MILIONI
06 luglio 2025 11:06
SCOSSA DI TERREMOTO TRA CESARÒ E MANIACE: MAGNITUDO 3.3 NELLA NOTTE
06 luglio 2025 07:16
BELPASSO. SCONTRO TRA DUE AUTO SULLA SP3: UNO DEI VEICOLI FINISCE CONTRO UN MURETTO, FERITI
05 luglio 2025 20:04
MISTERBIANCO. UNGHIE PERFETTE MA ILLEGALI: SI PROMUOVEVANO SUI SOCIAL, MA LAVORAVANO IN NERO. FERMATE DUE ESTETISTE E MULTE FINO A 1.032 EURO
05 luglio 2025 18:23
Grave incidente sulla SS 417 nel territorio di Ramacca: tre auto coinvolte quattro feriti, uno in codice rosso
05 luglio 2025 17:06
INCENDIO ALLA ECOMAC DI AUGUSTA: NUBE VISIBILE FINO A SIRACUSA. STOP ALLE ATTIVITÀ ALL’APERTO
05 luglio 2025 15:43
Catania, noleggiavano auto senza rispettare le norme anti-terrorismo: scattano 15 denunce
05 luglio 2025 15:09
ROGO DI STERPAGLIE AL VELODROMO DELLE SALINELLE
05 luglio 2025 13:53
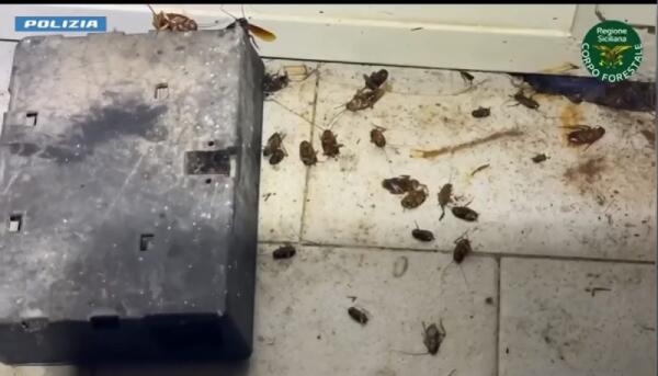
CONTROLLO SU DUE STABILIMENTI BALNEARI AD ACI CASTELLO: BLATTE IN CUCINA, CIBO SCADUTO, ATTIVITÀ SOSPESE E 114 KG DI ALIMENTI SEQUESTRATI
05 luglio 2025 12:39
MAXI SEQUESTRO DA 10 MILIONI AD ACI CASTELLO: SMASCHERATA BANCAROTTA FRAUDOLENTA NELLA GESTIONE DI UN HOTEL DI LUSSO
05 luglio 2025 09:16
AUMENTI DEI PEDAGGI AUTOSTRADALI DAL 1° AGOSTO 2025: STANGATA ESTIVA PER AUTOMOBILISTI E TRASPORTATORI
04 luglio 2025 21:01
CATANIA RISUONA D’ESTATE: 11 GRANDI CONCERTI A VILLA BELLINI CON IL WAVE SUMMER MUSIC 2025
04 luglio 2025 19:47
LA SICILIA DIVENTA IL PRIMO LUOGO AL MONDO FUORI DAGLI USA A FORMARE PILOTI F-35
04 luglio 2025 17:47
SALDI ESTIVI: IN SICILIA COMINCIANO IL 5 LUGLIO E TERMINANO IL 15 SETTEMBRE
04 luglio 2025 16:43
TEMPORALI IN ARRIVO NELLE AREE INTERNE DELLA SICILIA: NON SI ESCLUDE LA POSSIBILITÀ DI LOCALI GRANDINATE
04 luglio 2025 14:56
Giarre, fermati con arnesi da scasso: tra loro un uomo di Misterbianco
04 luglio 2025 14:20
PATERNÒ, PERDITA D’OLIO CAUSA LA CADUTA DI UNO SCOOTER: FERITO UN UOMO, STRADA CHIUSA
04 luglio 2025 13:13
PATERNÒ, CONSEGNATA LA NUOVA RISONANZA MAGNETICA DA 1,5 TESLA ALL’OSPEDALE “SS. SALVATORE”
04 luglio 2025 12:13
7.4°